地址:广元市利州区利州东路一段739号 邮编628000 电话:0839-3265706 传真:0839-3264320
备案号:蜀ICP备2021023522号-1
川公网安备 51080002000273号
2021年8月24日上午10时,青川县自然资源局在青川县公共资源交易服务中心举行两宗国有建设用地(青川县城JDP-A-5-1地块,青川县沙州镇C-11地块)使用权拍卖会。

青川县城JDP-A-5-1地块位于青川县县城金洞坪处,土地用途为住宅用地,兼容10%商业,占地面积为16878平方米,起始价为1793万元,楼面地价起始价为1234.74元/平,此次由三台涪凯房地产开发有限公司拍得,最终成交价为5210万元,溢价率为190.57%。

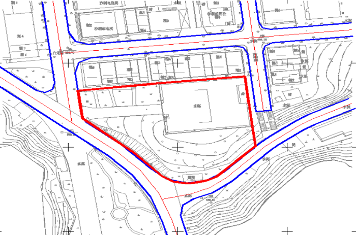
青川县沙州镇C-11地块位于青川县沙州镇场镇,土地用途为商业金融用地,占地面积为3560.39平方米,起始价为221万元,楼面地价起始价为449.39元/平,此次由四川广运集团青川有限公司拍得,最终成交价为320万元,溢价率为44.8%。